
Flöhe bekämpfen Geuensee
Flöhe bekämpfen in Geuensee 041 510 70 19. Wir lösen Ihr Flohproblem schnell und zuverlässig! Unsere Kammerjäger sind bereit, Flöhe effizient zu vertreiben und Ihr Zuhause wieder flohfrei zu machen. Aus Diskretionsgründen sind unsere Fahrzeuge ohne Werbeaufdrucke unterwegs. Kontaktieren Sie uns noch heute!
Flöhe erkennen, richtig handeln!
Eine Ansammlung von Flöhen in Wohnräumen oder auf Haustieren kann rasch zu einem Flohbefall führen. Oft zeigt sich dies durch intensiven Juckreiz und Hautreizungen. Flöhe nisten sich gern in Matratzen, Teppichen oder kleinen Ritzen ein. Sollten Ihre eigenen Massnahmen nicht ausreichen, empfiehlt es sich, einen Kammerjäger in Geuensee zu kontaktieren, um die Flöhe effizient zu bekämpfen und zu vertreiben. Unsere Fachleute unterstützen Sie dabei, Flöhe in der Wohnung und im Bett nachhaltig zu beseitigen und künftige Befälle zu verhindern.
Zusätzlich sind wir auf die Bekämpfung von anderen Schädlingen wie Bettwanzen, Ameisen, Kakerlaken und anderen Schädlingen spezialisiert im ganzen Kanton Luzern.
Vereinbaren Sie mit uns Ihren Wunschtermin - Jetzt anrufen! 041 510 70 19
Professionell Flöhe bekämpfen
Umweltfreundliche Flohbekämpfung in Geuensee
Unser Team besteht aus Experten in der Bekämpfung von Schädlingen, das sich auf das Aufspüren, Entfernen und Vorbeugen von Flohbefall in Wohnräumen konzentriert. Der Schutz von Menschen, Tieren und der Umwelt ist für uns essenziell. Unsere Einsätze sind diskret, mit neutralen Fahrzeugen, um Flöhe im Bett oder anderen Bereichen effizient zu bekämpfen.
Kontaktieren Sie uns unter 041 510 70 19 oder über unser Kontaktformular, um einen Termin zu vereinbaren. Wir sind schnell zur Stelle und passen uns Ihrem Zeitplan an – auch am Wochenende!

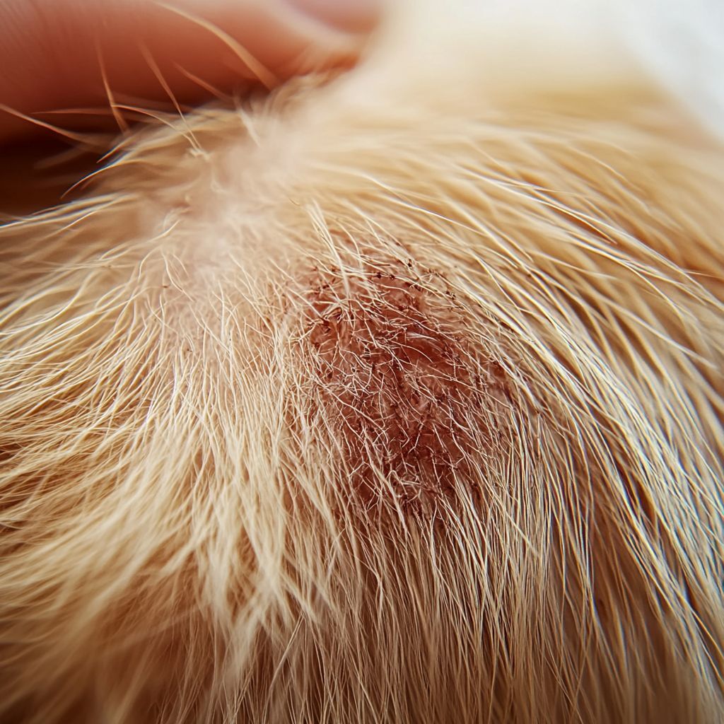
Vergleich der Flohbisse in Geuensee
Mehr als 2.500 Floharten gibt es weltweit, viele von ihnen sind in unseren Haushalten anzutreffen. Vor allem Katzen- und Hundeflöhe sind eine erhebliche Belastung für Tiere und deren Halter. Flohbisse verursachen Juckreiz und Hautreizungen und können auch Krankheiten und Parasiten wie Herzwürmer übertragen. Ein Flohbefall kann die Gesundheit unserer Haustiere stark beeinträchtigen und in schweren Fällen zu Anämie oder allergischen Reaktionen führen. Regelmässige Reinigung ist entscheidend, um Flöhe zu bekämpfen. Sollte dies nicht ausreichen, hilft ein Schädlingsbekämpfer, die Flöhe effektiv zu entfernen und die Gesundheit von Mensch und Tier zu schützen.

Flohbiss: Flöhe beissen oft in Gruppen oder Reihen, besonders an den Beinen, Knöcheln und Füssen. Die Bisse sind klein, rot und verursachen intensiven Juckreiz. Sie können sekundäre Infektionen hervorrufen, wenn sie aufgekratzt werden.

Bettwanzenbiss: Bettwanzen hinterlassen meist eine Reihe von Bissen auf unbedeckter Haut (Arme, Hals, Gesicht). Die Bisse erscheinen als rote, geschwollene Stellen mit leichtem Juckreiz, der sich über Stunden oder Tage verstärken kann.

Zeckenbiss: Zeckenbisse sind oft weniger sichtbar, können aber zu Hautrötungen, Schwellungen und intensivem Juckreiz führen. Sie befallen bevorzugt weiche Hautstellen wie Bauch, Oberschenkel und Arme und können allergische Reaktionen auslösen.

Mückenstich: Mückenstiche verursachen sofortige Schwellungen mit einem roten Punkt in der Mitte. Der Juckreiz tritt schnell ein, ist aber meist nur kurzzeitig. Mückenstiche sind einzeln und nicht in Gruppen angeordnet.
Schnell
Zuverlässig
Naturbewusst
TOP Kundenzufriedenheit
Was tun gegen Flöhe in der Wohnung
Flöhe können schnell zu einer ernsten Plage im Haushalt werden, insbesondere wenn Haustiere vorhanden sind. Hier sind einige Schritte, um Flöhe wirkungsvoll zu bekämpfen:
- Gründliche Reinigung der Wohnung: Starten Sie mit einer umfassenden Reinigung. Staubsaugen Sie Teppiche, Polstermöbel und alle Bereiche, in denen Ihre Haustiere sich aufhalten. Entsorgen Sie den Staubsaugerbeutel sofort nach dem Saugen, um Eier und Larven effektiv zu beseitigen.
- Wäschewaschen: Reinigen Sie alle Bettwäsche, Decken und die Schlafplätze Ihrer Haustiere bei hohen Temperaturen. So werden Flöhe sowie ihre Eier effektiv abgetötet.
- Verwendung von Flohbekämpfungsmitteln: Setzen Sie gezielt auf für Innenräume entwickelte Flohmittel. Wählen Sie Produkte, die sowohl adulte Flöhe als auch deren Eier bekämpfen. Achten Sie darauf, die Anwendungshinweise sorgfältig zu lesen und zu befolgen, um eine sichere Handhabung zu gewährleisten.
- Behandlung der Haustiere: Konsultieren Sie Ihren Tierarzt bezüglich geeigneter Flohbehandlungen. Es stehen verschiedene Optionen zur Verfügung, wie Spot-On-Präparate, Tabletten oder Flohhalsbänder, die dazu beitragen, bestehende Flöhe zu entfernen und zukünftige Infektionen zu vermeiden.
- Prävention: Um zukünftige Flohprobleme zu vermeiden, ist es wichtig, regelmässige Reinigungen durchzuführen und vorbeugende Flohmittel in die Pflege Ihrer Haustiere zu integrieren.
Diese Tipps können Ihnen helfen, Flöhe in Ihrem Zuhause in Geuensee vorübergehend zu bekämpfen. Allerdings sind sie häufig nicht so effektiv wie die professionellen Methoden unserer Kammerjäger. Für eine umfassende Schädlingsbekämpfung und um Flöhe nachhaltig in Ihrer Wohnung oder im Bett zu entfernen, sollten Sie sich an unsere Experten wenden. Wir sind schnell in Geuensee vor Ort und unterstützen Sie bei der effektiven Bekämpfung von Flöhen sowohl in der Wohnung als auch bei Menschen. 041 510 70 19
Flöhe bekämpfen in Geuensee
Unser Unternehmen besteht aus einem erfahrenen Team von Kammerjägern, das sich auf die Schädlingsbekämpfung von Flöhen in Geuensee spezialisiert hat. Unsere Dienstleistungen bieten Ihnen nachhaltige und wirkungsvolle Lösungen zur Bekämpfung von Flöhen in Ihrer Wohnung und im Bett. Wir führen Inspektionen durch, identifizieren Befälle und beraten Sie zu präventiven Massnahmen.
Wenn Sie in Geuensee mit einem Flohproblem zu kämpfen haben, zögern Sie nicht, uns zu kontaktieren. Wir helfen Ihnen dabei, Flöhe zuverlässig zu vertreiben und Ihr Zuhause schädlingsfrei zu halten.
Notdienst
Benötigen Sie sofortige Unterstützung? Unsere Floh-Experten stehen Ihnen jederzeit in Geuensee zur Verfügung. Kontaktieren Sie uns jetzt! 041 510 70 19
Diskretion
Um die Diskretion zu wahren, verzichten wir auf jegliche Werbeaufschriften, die unsere Schädlingsbekämpfer sofort identifizierbar machen könnten.
Umweltschonend
Der Schutz von Menschen, Tieren und der Umwelt liegt uns am Herzen, weshalb wir bevorzugt auf natürliche und umweltfreundliche Produkte setzen.
Zertifizierte Mitarbeiter
Unsere Mitarbeiter sind durch den Verband Schweizerischer Schädlingsbekämpfer (VSS) zertifiziert und geschult um stets auf dem neusten Stand zu sein.
Häufig gestellte Fragen zu Flöhe bekämpfen Geuensee
Um Flöhe in Ihrer Wohnung zu bekämpfen, ist es wichtig, alle Teppiche, Möbel und Polster gründlich zu reinigen und den Staubsaugerbeutel sofort zu entsorgen. Auch professionelle Schädlingsbekämpfung kann schnell Ergebnisse erzielen.
Wenn Sie an juckenden Bissen leiden, die häufig in einer Linie angeordnet sind, könnte das auf Flöhe im Bett hindeuten. Kleine schwarze Punkte, die Flohkot darstellen, sind ebenfalls auf der Bettwäsche oder Matratze zu finden.
Eine gründliche Reinigung ist entscheidend, um Flöhe wirksam zu bekämpfen. Dazu gehört das Waschen von Textilien bei hohen Temperaturen und die Verwendung spezieller Mittel, die sowohl Flöhe als auch deren Eier abtöten. In schweren Fällen empfiehlt es sich, einen professionellen Kammerjäger hinzuzuziehen.
In den Schlafzonen von Haustieren, wie Betten, Teppichen oder Sofas, sind Flöhe häufig zu finden. Sie verstecken sich in kleinen Ritzen und in der Nähe der Futterplätze. Warme, feuchte Bereiche sind optimal für ihr Nisten.
Flöhe bei Hühnern sind ähnlich wie andere Flöhe, meist klein und dunkelbraun. Sie sind schwer zu sehen und verstecken sich oft im Gefieder. Flöhe können auch Hühnerkrankheiten übertragen, daher ist eine Kontrolle wichtig.
Flöhe bei Igeln sind klein, dunkel und ähnlich wie andere Flöhe, die bei Säugetieren vorkommen. Sie sind oft schwer zu sehen, da sie sich im Fell des Igels verstecken. Flöhe können auch von Igeln auf Haustiere oder Menschen übertragen werden.
Weibliche Flöhe sind in der Regel etwas grösser als männliche Flöhe und haben eine ähnliche dunkelbraune oder schwarze Farbe. Sie können auch Eier legen, die sich in der Umgebung verteilen. Weibliche Flöhe sind dafür bekannt, dass sie sich schnell vermehren können.
Flohstiche erscheinen normalerweise als kleine, rote, juckende Punkte auf der Haut. Sie sind oft gruppiert und können Schwellungen verursachen. Die Bisse sind meist sehr unangenehm und jucken stark.
Sie möchten gerne mehr Informationen zu Flöhe? Dann schauen Sie in unseren FAQ´s vorbei.
Anfrageformular Flöhe bekämpfen
Für eine unkomplizierte Anfrage zur Bekämpfung von Flöhe nutzen Sie unser Kontaktformular für Privatpersonen
Auftragsformular Immobilien
Für eine unkomplizierte Anfrage zur Bekämpfung von Flöhe nutzen Sie unser Kontaktformular für Unternehmen
Flöhe bekämpfen Geuensee
Öffnungszeiten:
Montag - Sonntag
7:00 - 21:30 Uhr